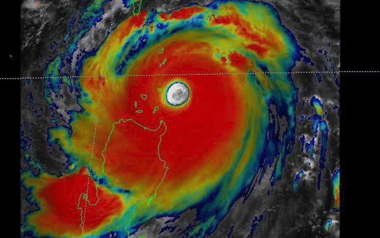
Siêu bão Ragasa đang ở thời điểm mạnh cực đại cấp 17 và dự báo tối nay đi vào Biển Đông, trở thành cơn bão số 9. Khoảng sáng 25/9, bão có khả năng vào Vịnh Bắc Bộ; sau đó, ảnh hưởng trực tiếp đến đất liền nước ta.
Theo Trung tâm Dự báo khí tượng thủy văn quốc gia, đến 7h sáng nay (22/9), siêu bão Ragasa đang cách đảo Lu-Dông (Philippines) khoảng 160km về phía Đông Bắc. Sức gió mạnh nhất vùng gần tâm bão mạnh cấp 17 (202-221km/giờ), giật trên cấp 17. Di chuyển theo hướng Tây Tây Bắc với tốc độ khoảng 20km/h.

Các chuyên gia khí tượng đánh giá, Ragasa nằm trong nhóm siêu bão mạnh nhất từng xuất hiện trên Biển Đông. Dự báo tối nay, bão sẽ đi vào Biển Đông, trở thành cơn bão số 9 trong năm 2025.
Khi vào Biển Đông, siêu bão Ragasa tiếp tục di chuyển nhanh khoảng 20km/h và duy trì cường độ cực đại cấp 17, giật trên cấp 17 trong ngày 22–23/9, tương đương hoặc vượt cường độ mạnh nhất của bão số 3 (Yagi) năm 2024.
Đến sáng 25/9, bão có khả năng tiến vào Vịnh Bắc Bộ với cường độ cấp 13-14, giật cấp 17 và dự báo ảnh hưởng trực tiếp đất liền nước ta từ Quảng Ninh đến Hà Tĩnh.
Các trung tâm dự báo quốc tế và Việt Nam đều nhận định Ragasa có hoàn lưu rất rộng, quỹ đạo và cường độ còn phức tạp do tương tác với khối không khí lạnh đầu mùa, chỉ cần bão lệch 50-100km sẽ gây khác biệt lớn về phạm vi và mức độ tác động.

Cụ thể dự báo diễn biến siêu bão Ragasa trong 24-48 giờ tới, tiếp tục di chuyển hướng Tây Tây Bắc, 20km/h và đi vào Biển Đông. Đến 7h ngày 23/9, vị trí tâm siêu bão trên vùng biển phía Đông Bắc Biển Đông với cường độ cấp 17, giật trên cấp 17. Rủi ro thiên tai: Cấp 4 – vùng biển phía Đông khu vực Bắc Biển Đông.
Trong 24 giờ tiếp theo, bão giữ nguyên hướng và tốc độ di chuyển. Đến 7h ngày 24/9, ví trí tâm bão trên vùng biển phía Bắc Biển Đông, cách bán đảo Lôi Châu (Trung Quốc) khoảng 370km về phía Đông; cường độ vẫn ở mức siêu bão, cấp 16-17, giật trên cấp 17. Rủi ro thiên tai: Cấp 4 – vùng biển phía Bắc khu vực Bắc Biển Đông.
Dự báo, đến 7h ngày 25/9, bão Ragasa sẽ di chuyển vào vùng biển phía Đông Vịnh Bắc Bộ với cường độ cấp 13-14, giật cấp 17, có xu hướng suy yếu. Rủi ro thiên tai: Cấp 4 – vùng biển phía Tây Bắc khu vực Bắc Biển Đông; khu vực Vịnh Bắc Bộ.
Từ 72 đến 120 giờ tiếp theo, bão đổi hướng, di chuyển theo Tây Tây Nam, mỗi giờ đi được khoảng 20km, cường độ tiếp tục suy yếu thêm.
Do ảnh hưởng của siêu bão Ragasa, từ ngày 23/9, khu vực Bắc Biển Đông có gió mạnh cấp 10-14, vùng gần tâm bão cấp 15-17, giật trên cấp 17, sóng cao trên 10m, biển động dữ dội. Từ ngày 24-26/9, Vịnh Bắc Bộ và ven biển Bắc Bộ – Bắc Trung Bộ khả năng có gió mạnh cấp 9-12, vùng gần tâm bão cấp 12-14, giật cấp 15-16, kèm mưa lớn diện rộng.
Tàu thuyền trong khu vực nguy hiểm có khả năng chịu tác động của giông, lốc, gió rất mạnh, sóng rất lớn.
Trung tâm Dự báo khí tượng thuỷ văn quốc gia lưu ý, diễn biến cơn bão còn phức tạp, khó lường nên chính quyền và người dân cần cập nhật thường xuyên các bản tin dự báo bão để có phương án ứng phó.
Theo: https://vietnamnet.vn/tin-moi-nhat-ve-sieu-bao-ragasa-manh-cuc-dai-cap-17-vao-bien-dong-toi-nay-22-9-2444746.html




